Five months since my previous visit to Knettishall Heath, and I’m there again to meet BNA Chairman Steve Rutherford. Close to the holiday cottage Steve and Pauline rent regularly, Knettishall is their adopted back yard, home to all manner of wildlife, including many things that don’t make it up to their home in South Yorkshire.
Up on the heath, save for a couple of clumps, the Heather was just about over. And so despite the hot, late-September sunshine, there were not many insects apart from pristine Small Coppers visiting Ragwort flowers and some active plasterer bee nests that probably belonged to Ivy Bees rather than Heather Bees, to judge from their foraging direction. A couple of snatches of Woodlark song pointed to the increasing bird population hereabouts.
Moving into the birchwoods, Fly Agarics were springing well, despite the near absence of other macrofungi. Nuthatches and Green and Great-spotted Woodpeckers called in the woodland as several Buzzards circled overhead.
Further into the valley, wet woodland has been incorporated into one of Steve’s projects, to provide homes for the tiny residual population of Willow Tits. This means providing them with decaying tree trunks, preferably Silver Birch, in which they can excavate nest holes.
And here is one that is in the process of being checked out, with preliminary, exploratory scrapings on the side. But of the birds themselves, nothing apart from a couple of distant calls.
As usual, the Oak trees had plenty of leaf galls, here Smooth Spangles, and a bonus Philodromus spider. But it was especially exciting to see Andricus gemmaeus bark bud galls,, first found in the UK in 2008, only second time I have seen it, and probably new to the reserve.
And on the very first oak I approached, from a distance of 2m, I spotted my second ever Festoon caterpillar…the benefits of cataract surgery! Just look at the way the purple flecks on the body match the purple vein-scars where they have been nibbled through!
It was further down towards the Little Ouse where the greatest concentration of autumn wildlife was to be found, including a Kingfisher that flashed past silently:
Marginal reeds included cigar galls of the fly Lipara lucens, alongside stately dead stems of Burdock, here harbouring a Hairy Shieldbug.
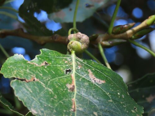
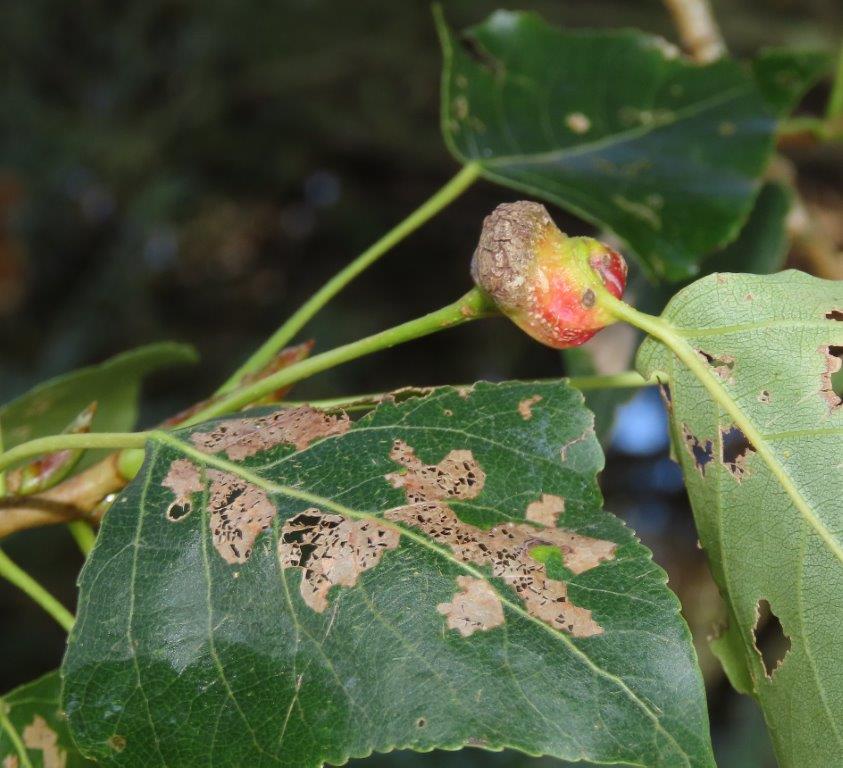
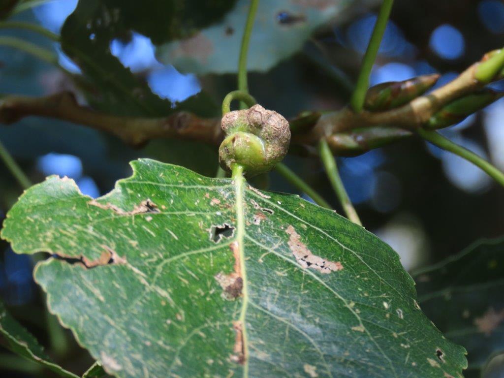
Black Poplar hosted the characteristic spiral petiole galls of the aphid Pemphigus spyrothecae, along with other miners and munchers:
But richest of all was the sunny, south-facing edge of the hedge and tree line on the south bank of the river. Here, nature’s autumnal mast bounty was evident, with bushes full of red haws and hips and black Buckthorn berries, alongside huge and numerous acorns.
There were plenty of baskers including Birch Shieldbug (very well camouflaged against tinting leaves), Footballer Hoverfly, the harvestman Phalangium opilio and Harlequin Ladybirds, which along with 7-spots seemed to be having something of a bumper emergence day.
And there was the Ivy: alluringly musk- scented and shining in the sunlight…
… hosting foraging Ivy Bees in greater densities I think than I have ever seen before.
Several Tachina fera parasite-flies as well, supping the Ivy bounty…
… as well as Hornets, seemingly concentrating on feeding themselves on nectar rather than trawling the vegetation to leap upon any unsuspecting insect, although two that found each other did seem to have less than friendly intentions!
All in all a lovely return to this remarkable Breckland nature reserve!







































